台北市士林區透天法拍

房子基本資料
案名士林區 美崙街4套房 平房案號112富97117一 114/10/16(四) 撤回
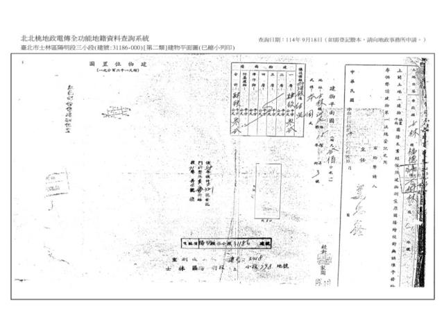
地址台北市士林區美崙街91巷4號
銷售狀態議價中售價
售2849萬
房子類型法拍透天總登記坪數14.83 坪
格局屋齡50年以上
每坪單價192.11萬/坪公設比
車位沒有車位法拍屋本物件是法拍屋
拍次 : 第一拍 不點交
開標日期 : 2025/10/16(四) 14:30撤回
建物所在樓層1樓/共1樓管理費
管委會沒有中庭沒有
電梯沒有 是否為凶宅
300公尺內嫌惡設施面前道路
面寬縱深
邊間不是房子銷售來源不動產經紀人/專業仲介
房子特色

【法院筆錄內容】



1‧31186建號、31667建號拍定後不點交。



2‧臺北市政府警察局士林分局函覆為出租套房,債權人於113年11月6日陳報經會同員警到場,現場隔成4間房間,第一間房承租人在場表示已承租居住10多年,最後一間房現無人承租居住,另2間房租給學生等語。114年3月17日現場履勘、測量時,債務人黃O鈞在場稱4間房間均已出租他人。債務人提出最新房屋租賃契約書影本,4間房間之承租人分別為蕭○琳(租賃期間自民國112年10月5日起至113年10月5日止,租金每月新臺幣1萬元)、林○翔(租賃期間自民國113年9月1日起至114年8月30日止,租金每月新臺幣1萬元)、陳○睿(租賃期間自民國113年9月7日起至114年8月30日止,租金每月新臺幣1萬元)、徐○維(租賃期間自民國113年11月24日起至114年11月23日止,租金每月新臺幣10,500元)。惟現在實際情形如何,仍請應買人自行查明注意。



3‧31667建號係未登記建物,為1樓外走廊及後方洗手台處。臺北市建築管理工程處於114年4月24日函覆稱:31667建號建物係位於一般空地之水平增建違章建築,屬既存違章建築,列入分類分期處理,列管拆除。1樓旁比對83年空照圖似有顯影,應屬83年12月31日以前存在之既存違建等語。拆除風險請應買人自行注意,本件拍賣係以建物現況拍賣,當事人及拍定人均不得以面積不符,請求增減價金,拍定後無法以權利移轉證書辦理建物登記。



《清償票款》






【保證金】

569.8萬


【拍賣履歴】

一拍2025/10/16撤回底標價格2849萬

二拍底標價格2279.2萬

三拍底標價格1823.4萬

四拍底標價格1458.7萬



【焦點法拍履歴】

👩🏻‍⚖️從業二十年以上經驗|競競業業|正派經營

🎯投標準備⇥法拍流程說明|標單填寫|案件現場勘查有無特殊情事|成本評估分析

💰銀行貸款⇥法拍物件估價|投標人財力評估|銀行代墊款協助辦理|最高八成

🏡拍定得標⇥強制執行書狀、履勘陳報書狀往返|債務人搬遷協商|遺留物造冊查估

🎁委託代標⇥免費|委託代標未得標⇥免費



🏢鑫創資產管理有限公司

顏麗杏0911-965339營業員證號:(101)登字第212862號

連真甄0909-031993營業員證號:(101)登字第192002號

更多物件☞焦點法拍



經紀人李彥槿:109北市經證字第02110號

坪數說明
建物登記總坪數14.83土地登記總坪數22.99
主建物坪數14.83停車位坪數
附屬建物坪數公共設施坪數
增建坪數6.73地下室坪數
房子聯絡人資訊
聯絡人姓名小顏
(煩請告知聯絡人,您是在889房子網看到這則廣告,真摯感恩您的幫忙)
Line加入好友
手機
0911-965-339(小顏)
所屬公司名稱鑫創資產管理有限公司
公司電話公司傳真
公司地址新北市新莊區中環路二段423號一樓
網址http://www.1314home.tw
贊助商廣告
士林透天出售
台北士林法拍透天-1
台北士林法拍透天-1
台北士林法拍透天-2
台北士林法拍透天-2
台北士林法拍透天-3
台北士林法拍透天-3
台北士林法拍透天-4
台北士林法拍透天-4
台北士林法拍透天-5
台北士林法拍透天-5
台北士林法拍透天-6
台北士林法拍透天-6
台北士林法拍透天-7
台北士林法拍透天-7
台北士林法拍透天-8
台北士林法拍透天-8
物件留言
請注意,如果您詢問的內容與物件不相符合或是廣告,經過審核,系統將會直接刪除您的發問內容
等待圖示
檢舉物件不實
等待圖示
黃金曝光
相似物件

+8-07-7963288客服電話
本房子網站為租用式開放房仲網站建置平台, 僅提供房子仲介會員刊登 - 台北市士林區透天法拍,法拍屋 - 等房子 / 土地 / 廠房 / 法拍資訊參考, 並不涉入任何諮詢、交易。物件(服務)聯絡人公佈的圖文影音資訊若有侵犯智財權或與客戶聯絡交易過程中若衍生民事或刑事等法律問題, 皆與本網站無關。
●電話:07-7963288