|
|
房子基本資料 | | 案名 | 金華.永康商圈*捷運*低樓層方正雅寓 | 案號 | |
|---|
| 地址 | 台北市大安區潮州街31號2樓 |
|---|
| 銷售狀態 | 待標中 | 售價 | 售2172萬售1737萬6000元 |
|---|
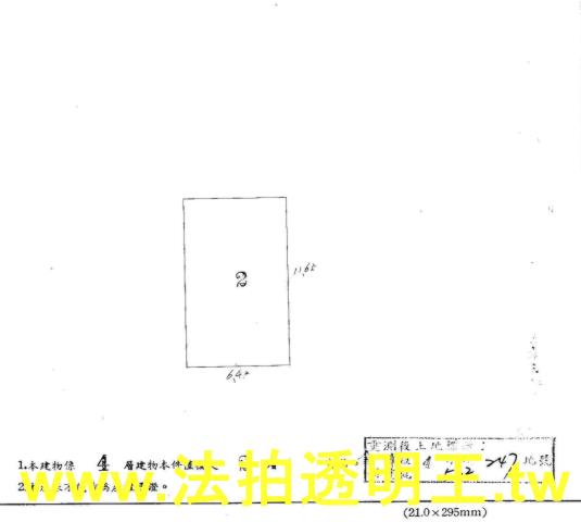
| 房子類型 | 法拍公寓 | 總登記坪數 | 22.62 坪 |
|---|
| 格局 | 3房,2廳,2衛,0陽台,1廚房 | 屋齡 | 50年以上 |
|---|
| 每坪單價 | 76.82萬/坪 | 公設比 | |
|---|
| 車位 | | 法拍屋 | 本物件是法拍屋 拍次 : 預估二拍(1737.6) 開標日期 : 115年2月25日
|
|---|
| 建物所在樓層 | 2樓/共4層 | 管理費 | |
|---|
| 管委會 | | 中庭 | |
|---|
| 電梯 | 沒有 | 是否為凶宅 | |
|---|
| 300公尺內嫌惡設施 | | 面前道路 | |
|---|
| 面寬 | | 縱深 | |
|---|
| 邊間 | | 房子銷售來源 | 不動產經紀人/專業仲介 |
|---|
| 房子特色 | (1/07)一拍價2172萬/@96萬~流標!
(2/25)二拍價1737.6萬/@76.82萬
本物件坐落於潮州街31號2樓
鄰近杭州南路二段與金華街巷口...
前後採光.與後棟棟距約3米
近古亭捷運站、勤通便利、增值最佳!!!
師大夜市、永康商圈、增加生活機能性
步行6-8分鐘即達捷運古亭站
有多線公車站.交通四通八達!!!
|
|---|
坪數說明 | | 建物登記總坪數 | 22.62 | 土地登記總坪數 | 8.02 |
|---|
| 主建物坪數 | 22.62 | 停車位坪數 | |
|---|
| 附屬建物坪數 | | 公共設施坪數 | |
|---|
| 增建坪數 | | 地下室坪數 | |
|---|
周邊環境 | | 生活機能 | | 鄰近交通 | |
|---|
| 鄰近地標 | | 公園綠地 | |
|---|
| 鄰近學區 | | 捷運站 | 古亭 |
|---|
房子聯絡人資訊 | | 聯絡人姓名 | 黃先生 (煩請告知聯絡人,您是在889房子網看到這則廣告,真摯感恩您的幫忙) | Line加入好友 | |
|---|
| 手機 |  0978-813-259(黃先生) | 所屬公司名稱 | 金石房屋資產有限公司 |
|---|
| 公司電話 | 0978-813259 | 公司傳真 | |
|---|
| 公司地址 | 台北市大同區 |
|---|
| 網址 | http://www.法拍透明王.tw |
|---|
贊助商廣告
售大安區公寓
大安區法拍公寓-1 大安區法拍公寓-2 大安區法拍公寓-3 大安區法拍公寓-4 大安區法拍公寓-5 大安區法拍公寓-6 大安區法拍公寓-7
|
|
|
|
物件地圖
|
物件留言
請注意,如果您詢問的內容與物件不相符合或是廣告,經過審核,系統將會直接刪除您的發問內容
|
|
檢舉物件不實
|
|
黃金曝光
 - 公寓_店面_一樓
- 31.35坪
- 售3373萬
 - 公寓
- 30.31坪
- 售2690萬8000元
 - 公寓
- 23.16坪
- 售977萬6000元
 - 公寓_法拍公寓
- 37.1坪
- 售2782萬
|
|
相似物件
 - 公寓_一樓 / 2房
- 22.19坪
- 售1592萬
 - 公寓 / 3房
- 31.27坪
- 售1817萬
 - 公寓
- 22.62坪
- 售1737萬6000元
 - 公寓
- 26.27坪
- 售1648萬
|